Menu
Zpět na seznam inzerátů

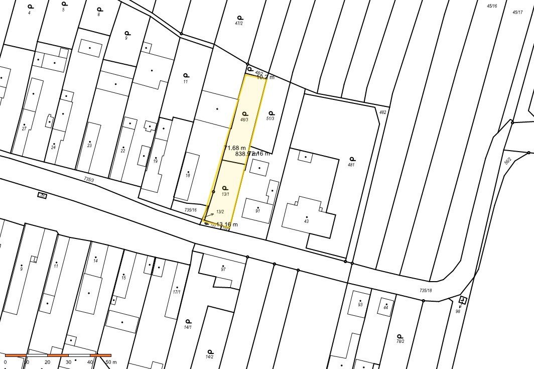
Stavební pozemek 785m-D35 za 6km,všechny sítě,Nové S

Jičín

2 200 000 Kč

Prodáváme oplocený stavební pozemek s vlastním vjezdem v Nových Smrkovicích.
Elektřina a kanalizace na pozemku, voda cca 1,5 m od hranice.
Povolení památkářů-možnost výstavby RD, roubené chalupy či chaty.
K pozemku je vydáno kladné vyjádření NPÚ Praha, které můžete nahlédnout přímo v dokumentaci na stavebním úřadě v Hořicích. Pozemek umožňuje flexibilní umístění domu a úpravu vjezdu tak, aby poskytoval maximální soukromí všem zúčastněným stranám a více prostoru - ideální pro užší parcelu ( ležící už mimo historické jádro ).
6km na D35/R35-rychlá dostupnost do Hradce Králové a Pardubic. Po dokončení dálnice D35 - i do Prahy, Mladé Boleslavi a Liberce. Autobusové spojení na návsi, vlakové v Ostroměři.
St. parcela je s jižní orientací celodením slunečním svitem a pohádkovou atmosférou. Do obce Ostroměř je to autem 2 km, Hořic 9 km a do Jičína 17 km. Pozemek leží na okraji Českého ráje a nedaleko Krkonoš. Při seriózním zájmu se nebráníme dohodě o ceně.
V případě zájmu o větší pozemek též možnost prodeje navazující parcely 48/2 a orné půdy 45/8 popř. 45/6 a 43/22 ke kterým vede i obecní cesta.
Tyto pozemky lze využít jako pastvinu pro koně, ovce či jiná hospodářská zvířata, případně pro velkou zahradu či sad. Je možné také dokoupit jen chybějící metry jako doplněk pro dokonalou velikost parcely.
TEL: 739666280

Výměra

0 m²

Cena za m²

0,00 Kč

Zdroj

Bazos.cz

Kontaktovat prodejce

Zobrazit kontakt
Menu
Zavřít